On Wednesday, September 24, the Town held its monthly project meeting with State Utility Contractors to receive updates on the waterline project. Please be mindful that the Town has been providing the information it has been given by contractors, engineers, and NCDOT. This is a complex project in which field conditions can result in delays and alterations in work and schedules. Thank you for your continued patience during this once-in-a-lifetime project that has been in the works since 2007. If you have questions, please contact Town Hall at 704-436-9800.
Several people have asked why it looks like crews are constantly digging up the same areas. The general order of operations to install new waterline is as follows:
1. Cut pavement
2. Dig Trench
3. Install Line
4. Temporarily fill trench with soil
5. Once new waterline reaches specified points, pressure test with water and disinfect
6. Dig out trench to specified depth and fill with NCDOT approved materials depending on location of trench (appropriate combination of stone, soil, and/or flowable fill per NCDOT approved pavement schedule). Engineering contractors and NCDOT conduct inspections during this process to ensure appropriate compaction. If compaction is not approved, then the fill has to be altered/remediated.
7. Pavement is restored along trenched area. Final paving will occur later when all work is complete.
8. Service tie-ins are completed for each customer. This typically requires some digging around each customer’s meter box to make the connections.
The chart and map at the end of this update show the status of each segment of the project. Below is a summary of the status of each segment of the project:
N. Main Street
The section of N. Main Street between Park Drive and Hwy. 49 is complete. N. Main Street is open to local traffic between Park Drive and Hwy. 49. Crews were able to repair the stormwater pipe at the intersection of N. Main Street and Walnut Street in early September. The section of N. Main Street between Hwy. 49 and North Drive is also complete.
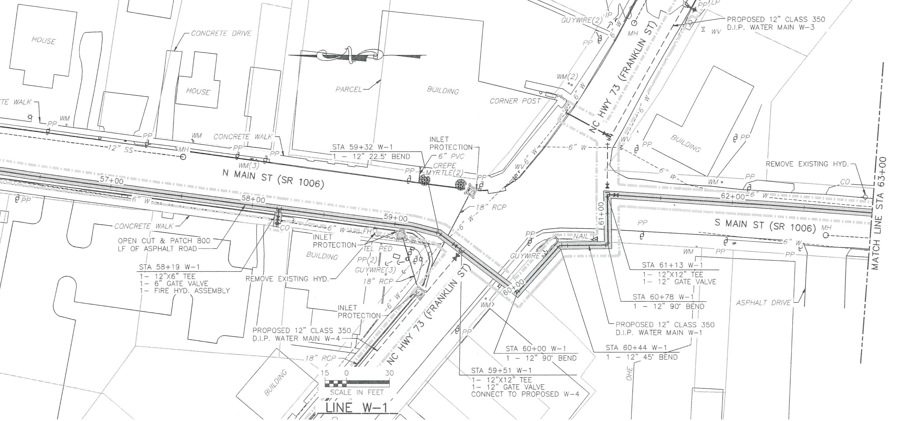
Crews were able to complete the open cut and waterline installation across Hwy. 73 (Franklin Street) the week of September 15. The line is being pressure tested and disinfected this week, with pavement restoration taking place the week of September 29. Barring inclement weather, N. Main Street is scheduled to reopen the week of October 6.
The open cut and waterline installation across S. Main Street at the square is taking place this week and next week (week of September 22 & 29). The new waterline will continue down the east side of S. Main Street to Lee Street with lane closures and flagging throughout October.

Detail at The Square
Hwy. 49
The subcontractor completed the bore under Hwy. 73 this week. The waterline along Hwy. 49 will be tested and chlorinated with tie-ins taking place over the next couple of weeks. Affected sidewalk will be replaced before the end of the project.
E. Franklin Street (Hwy. 73)
In early September, a crew began working on installation of the new 12-inch waterline on E. Franklin Street from Main Street to Blueberry Street. This section of road has a wider cross section to work in and has been utilizing lane closures and flagging Monday-Friday, 8:00am-5:00pm (as permitted by NCDOT). Work on E. Franklin Street will take place through mid-November.
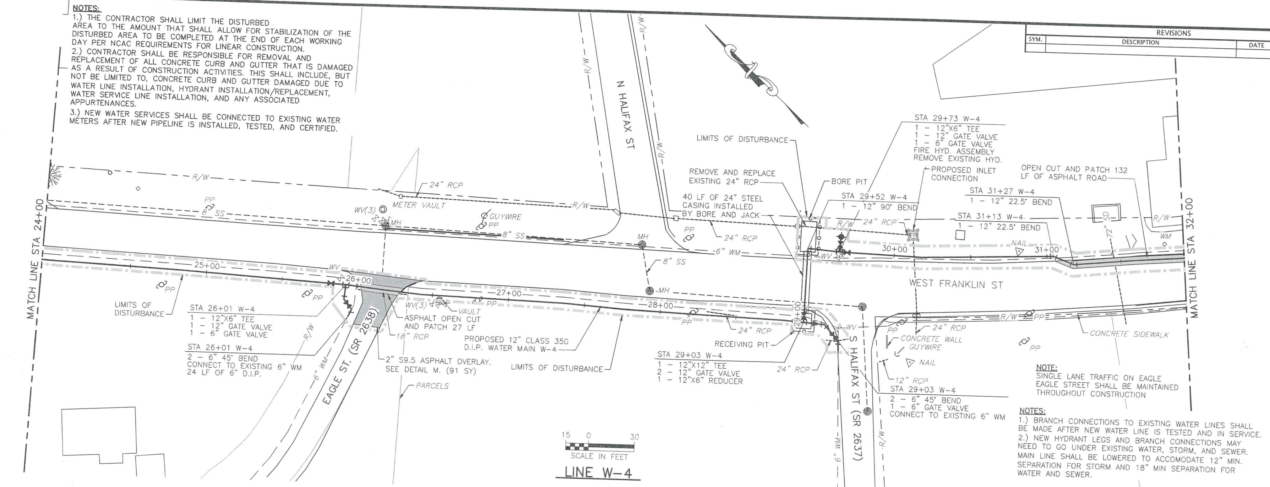
W. Franklin Street (Hwy. 73)
State Utility has two crews working on W. Franklin Street to expedite the completion of that section. Beginning in September, a crew began working in the shoulder of W. Franklin Street between N. Skyland Drive and S. Halifax Street. Work in this section will take place through October and utilize lane closures with flaggers generally occurring Monday-Friday 8:30am-4:30pm (as permitted by NCDOT).
After N. Main Street reopens the week of October 6, W. Franklin Street between Main Street and S. Halifax Street will be closed to through-traffic with a detour put in place utilizing N. Main Street. The closure is being required by NCDOT due to roadway width and waterline location. Access to businesses and residents will be maintained, while through-traffic is detoured. The work on this section will continue until early December.

Detail on W. Franklin St. Near Halifax St.
showing shift from south side (shoulder) to north side (roadway)

